The City of Hamilton is poised to approve a major development in the Fruitland/Winona area that it previously denied after city lawyers signalled a settlement is imminent with Branthaven Homes at the Ontario Land Tribunal (OLT).
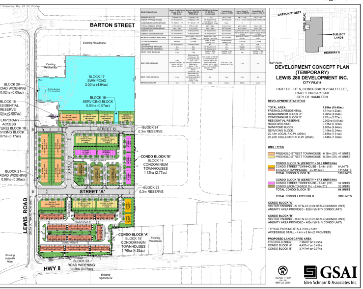
The agreement would permit the development of townhouses on 19.5 acres at 286 Lewis road.
In November 2024, City Council unanimously voted to deny Branthaven’s original application to build 309 townhouse dwelling units, constructed as a mixture of stacked and maisonette units.
City planning staff had recommended the denial, writing that the application was premature for a variety of reasons, including concerns about air drainage between Lake Ontario and the Niagara escarpment, which is essential for the tender fruit farms located south of Highway 8.
Branthaven appealed the denial to the Ontario Land Tribunal. Today, Oct. 2, the first appearance before the Tribunal was adjourned. Originally set as day one of a six-day contested hearing, the sides began the hearing by submitting a joint request for adjournment.
“We are very close to a settlement,” Branthaven’s lawyer Jennifer Meader told OLT Vice-Chair Carrie Hardy.
Andrew Biggart, representing the City of Hamilton, said he was equally confident.
“I am as confident as Ms. Meader that discussions will settle the concerns of my client,” Biggart said.
Biggart stated that in the event a settlement is not reached, and a contested hearing is still required, the City of Hamilton will not be calling witnesses or experts.
“I will be proceeding by cross-examination and it will not take long,” Biggart said, confirming the city is essentially withdrawing its technical opposition to the appeal.
Biggart and Meader jointly requested the OLT adjourn until Wednesday, Oct. 8 to permit them to finalize an agreement.
No information regarding the settlement proposals was shared during today’s hearing.
Neighbouring Landowner Seeks Party Status
Complicating the matter is that a corporation representing a neighbouring landowner, 2546058 Ontario Inc., is seeking party status. The corporation did not participate in the planning committee public hearing, which is generally an expectation to be considered for party status at the OLT.
Meader and Connor Harris, the lawyer representing 2546058 Ontario Inc., both indicated the concerns of the corporation may be resolved in settlement talks. They asked the Tribunal Vice-Chair to not yet make a decision regarding the request for party status.
Vice-Chair Hardy granted the adjournment, instructed the parties to update the Tribunal by Oct. 7, and set hearing dates for Dec. 8 to 12. In the event a settlement is agreed to, the settlement will be presented on Dec. 8.
City Council will need to approve any settlement. The Council’s practice is to discuss such matters in closed session and not release details until the settlement is officially filed with the Tribunal.
Branthaven purchased 286 Lewis Road in 2023 for $23.5-million.
Update: Comment from Ward 10 Councillor Jeff Beattie
On October 3, Ward 10 Councillor Jeff Beattie provided the following comment regarding his position on the matter.
“Any ability to avoid going to an OLT hearing is often advantageous.
I know that I’ve made it clear the position of the community regarding the important elements that have to be considered.
While I’m not privy to what the settlement looks like at this stage, um, I do know that areas pertaining to drainage density and the impact on the community in terms of built form are considerations that I’m going to be looking for.
So I’ll have to wait and see what the update from staff looks like.”
City Council’s Planning Committee approved the water/wastewater servicing strategy for the Fruitland-Winona Secondary Plan at the October 3 Planning Committee.
Production Details
v. 1.1.0
Published: October 2, 2025
Last updated: October 6, 2025
Author: Joey Coleman
Update Record
v. 1.0.0 original version
v. 1.1.0 added comments from Ward 10 Clr Jeff Beattie [October 6]

Jeff did a good job of explaining to Committee, especially the non-farming members, what the implications of this development would mean to farmers in our area.